Israel/Northern Coastal Plain ferruginous/quartz and biogenic sand
Israel/Northern Coastal Plain, Israel/Carmel coastal plain
Hamra and coastal sand from central-northern coast of Israel
—
This fabric is attested in multiple forms, including Late Roman 1, Agora M334, and bag-shaped type amphoras, as well as red-slipped jars and jugs. It was used by potters from at least the 8th c. BCE to the 7th c. CE.
The possible source of clay is in the lenses of Hamra soil that occur within the shell-stone (kurkar) ridges. Such ridges exist all along the coast of Israel, from north of the Carmel all the way down to Gaza. The most likely origin of this petrofabric is between the northern section of the Sharon Coastal Plain and Haifa Bay.
The matrix is ferruginous and little silty, the silt may include rare plagioclase, zircon and other heavy minerals. The non plastics are quartz and shells' debris, all well sorted and mostly rounded - sand of the northern Israeli coast which is deposited by sea currents carrying sediment originating in the Nile Delta. Another possible source of clay may be the terra Rosa soils of the coastal area carefully washed by potters.
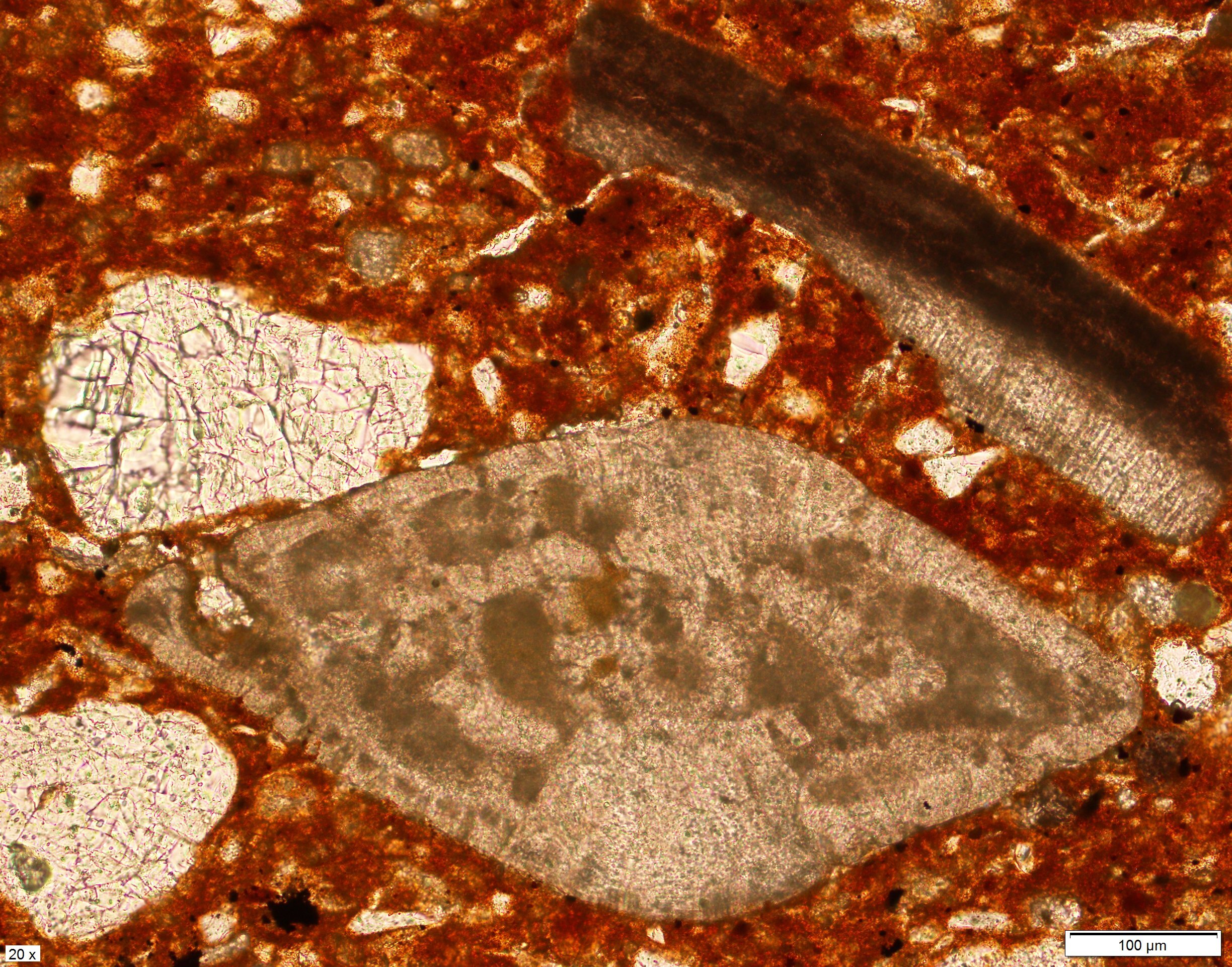
A version of this petro-fabric was found in several Late Roman 1 amphoras at Sepphoris. The clay was orange-red to red-brown in plane polarized light (PPL), which is unchanged in cross polarized light (XPL). There is little silt, ca. >5%, within the groundmass, and irregular vugh-shaped voids, potentially resulting from shrinkage of clay balls, occur at ca. 20%. Foraminifera and bioclasts, often filled with iron, are few but their presence is characteristic of the groundmass and they tend to be quite well-preserved. Of these, Globigerinelloides and general planktonic foraminifera, perhaps dating to the Miocene, may be identified. The morphology of the microfossils includes planispiral, globular, and uniserial shapes. Aplastic components are moderately sorted, sub-angular to rounded in shape, and range from about 60–250µm in size. They were most likely added to the clay by potters as a temper, and make up ca. 20–25% of the fabric. Components are: quartz, textural concentration features (tcfs) such as clay pellets, ferruginous concretions, calcareous materials (limestone, kurkar), and chert. Quartz is by far the most common component, ca. 60% of the total, and is polycrystalline with frequent fracturing. Calcareous components represent ca. 5–10% of all components and trend smaller than the quartz grains, at roughly 60 µm. Clay pellets, or argillaceous textural features (Whitbread 1995; Quinn 2013), are less than 5% of the total and have a high optical density with clear boundaries. Chert is rare.
This fabric is attested in multiple forms, including Late Roman 1, Agora M334, and bag-shaped type amphoras, as well as red-slipped jars and jugs. It was used by potters from at least the 8th c. BCE to the 7th c. CE.
The possible source of clay is in the lenses of Hamra soil that occur within the shell-stone (kurkar) ridges. Such ridges exist all along the coast of Israel, from north of the Carmel all the way down to Gaza. The most likely origin of this petrofabric is between the northern section of the Sharon Coastal Plain and Haifa Bay.
4th - 8th centuries CE
Late Roman, Early Byzantine, Byzantine, Late Roman
'Akko, Harbor (Israel/Northern Coastal Plain)
'Akko/Acre (Israel/Northern Coastal Plain)
Khirbet el-'Eika (Israel/Galilee)
Qedesh/Kedesh (Israel/Galilee)
Rosh Zayit (Israel/Galilee)
Tel Dan (Israel/Hula Valley)
Tel Dor (Israel/Carmel coastal plain)
Tel Kabri (Israel/Northern Coastal Plain)
Tel Zeror (Israel/Central Coastal Plain)
Tell Keisan (Israel/Northern Coastal Plain)
Tell Qasile (Israel/Central Coastal Plain)